Prilog 1
Tablica 1: rok od 25 godina
|
R.br |
Naziv katastarske |
PTC. Br. i slika |
Broj katastarske čestice |
Način uporabe katastarske čestice (katastarska kultura) |
Površina |
Jedinična zakupnina |
Početna zakupnina (kn) |
Postotak uveć./ |
Ukupna visina početne zakupnine (kn) |
Napomena |
Ukupna površina PTC |
Ukupna početna zakupnina za PTC (kn) |
|
1 |
2 |
3 |
4 |
5 |
6 |
7 |
8 |
9 |
10 |
11 |
12 |
13 |
|
6*7 |
8+9 |
|||||||||||
|
1 |
VUKOVAR |
dio 5395 |
ORANICA |
1,4664 |
549,00 |
805,05 |
0% |
805,05 |
P1 |
2,1997 |
1.207,64 |
|
|
2 |
VUKOVAR |
dio 5395 |
ORANICA |
0,7333 |
549,00 |
402,58 |
0% |
402,58 |
P1 |
|||
|
3 |
VUKOVAR |
5995 |
TRSTIK |
0,4644 |
200,00 |
92,88 |
0% |
92,88 |
P3, AP-akumulacija 2. reda (OMO)) |
0,4644 |
92,88 |
|
|
4 |
VUKOVAR |
5996 |
TRSTIK |
1,0956 |
200,00 |
219,12 |
0% |
219,12 |
P3, AP-akumulacija, DIJELOM JVD (zaštitni pojas, kanal 2. reda (OMO)) |
1,0956 |
219,12 |
|
|
5 |
VUKOVAR |
6003/1 |
ORANICA |
13,8192 |
549,00 |
7.586,74 |
0% |
7.586,74 |
P1 i P3 |
13,8192 |
7.586,74 |
|
|
6 |
VUKOVAR |
6008 |
ORANICA |
0,3868 |
549,00 |
212,35 |
0% |
212,35 |
P3 |
0,3868 |
212,35 |
|
|
7 |
VUKOVAR |
6145/5 |
ORANICA |
1,6485 |
549,00 |
905,03 |
0% |
905,03 |
P1 |
3,1217 |
1.713,81 |
|
|
8 |
VUKOVAR |
6146/1 |
ORANICA |
1,4732 |
549,00 |
808,79 |
0% |
808,79 |
P1 |
|||
|
9 |
VUKOVAR |
6145/10 |
ORANICA |
1,1576 |
549,00 |
635,52 |
0% |
635,52 |
P1 |
1,2795 |
702,45 |
|
|
10 |
VUKOVAR |
6146/3 |
ORANICA |
0,1219 |
549,00 |
66,92 |
0% |
66,92 |
P1 |
|||
|
11 |
VUKOVAR |
6147 |
ORANICA |
0,8730 |
549,00 |
479,28 |
0% |
479,28 |
P1 |
0,8730 |
479,28 |
|
|
12 |
VUKOVAR |
6156 |
ORANICA |
17,4805 |
549,00 |
9.596,79 |
0% |
9.596,79 |
P1 i PŠ 2. reda (OMO)) |
17,4805 |
9.596,79 |
|
|
13 |
VUKOVAR |
6158 |
ORANICA |
8,6984 |
549,00 |
4.775,42 |
0% |
4.775,42 |
P1 i PŠ 2. reda (OMO)) |
8,6984 |
4.775,42 |
|
|
14 |
VUKOVAR |
6583 |
ORANICA |
1,7089 |
549,00 |
938,19 |
0% |
938,19 |
P1 |
1,7089 |
938,19 |
|
|
15 |
VUKOVAR |
dio 6593 |
ORANICA |
28,0683 |
549,00 |
15.409,50 |
0% |
15.409,50 |
P1 |
28,0683 |
15.409,50 |
|
|
16 |
VUKOVAR |
dio 6593 |
ORANICA |
28,0682 |
549,00 |
15.409,44 |
0% |
15.409,44 |
P1 |
28,0682 |
15.409,44 |
|
|
17 |
BOROVO NASELJE |
362 |
ORANICA |
0,2066 |
614,00 |
126,85 |
0% |
126,85 |
P1 |
0,2066 |
126,85 |
|
|
18 |
BOROVO NASELJE |
354/2 |
ORANICA |
0,0724 |
614,00 |
44,45 |
0% |
44,45 |
P1 |
0,0724 |
44,45 |
|
|
19 |
BOROVO NASELJE |
361/2 |
ORANICA |
0,0451 |
614,00 |
27,69 |
0% |
27,69 |
P1 |
0,0451 |
27,69 |
|
|
20 |
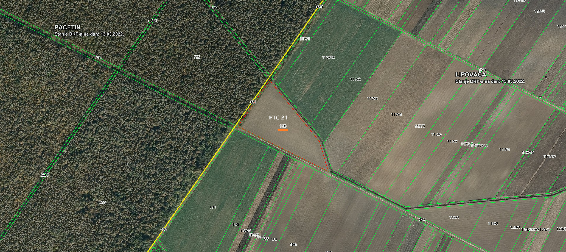
LIPOVAČA |
dio 106/1 |
ORANICA |
0,3417 |
614,00 |
209,80 |
0% |
209,80 |
P1 |
0,6833 |
419,55 |
|
|
21 |
LIPOVAČA |
dio 106/1 |
ORANICA |
0,3416 |
614,00 |
209,74 |
0% |
209,74 |
P1 |
|||
|
22 |
LIPOVAČA |
116/19 |
ORANICA |
1,5904 |
614,00 |
976,51 |
0% |
976,51 |
P3 |
1,5904 |
976,51 |
|
|
23 |
LIPOVAČA |
117/1 |
ORANICA |
0,5755 |
614,00 |
353,36 |
0% |
353,36 |
P3, DIJELOM DMO (kanali 3. i 4. reda) |
0,5755 |
353,36 |
|
|
24 |
LIPOVAČA |
117/8 |
ORANICA |
0,4795 |
614,00 |
294,41 |
0% |
294,41 |
P3 |
0,4795 |
294,41 |
|
|
25 |
LIPOVAČA |
118 |
ORANICA |
1,8572 |
614,00 |
1.140,32 |
0% |
1.140,32 |
P1 |
1,8572 |
1.140,32 |
|
|
26 |
LIPOVAČA |
192 |
ORANICA |
10,2633 |
614,00 |
6.301,67 |
0% |
6.301,67 |
P1, DIJELOM JVD (zaštitni pojas, kanal 2. reda (OMO)) |
14,2366 |
8.741,27 |
|
|
27 |
LIPOVAČA |
193 |
ORANICA |
1,7474 |
614,00 |
1.072,90 |
0% |
1.072,90 |
P1, DIJELOM JVD (zaštitni pojas, kanal 2. reda (OMO)) |
|||
|
28 |
LIPOVAČA |
194 |
ORANICA |
1,5175 |
614,00 |
931,75 |
0% |
931,75 |
P1, DIJELOM JVD (zaštitni pojas,kanal 2. reda (OMO)) |
|||
|
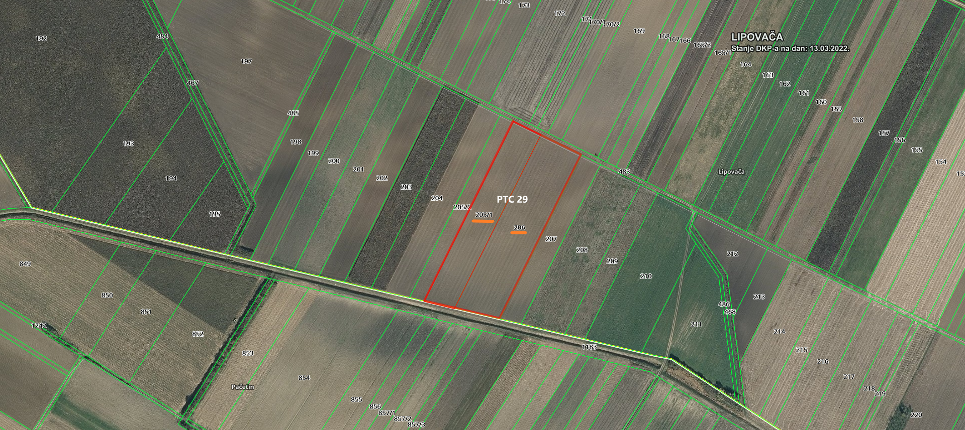
29 |
LIPOVAČA |
195 |
ORANICA |
0,7084 |
614,00 |
434,96 |
0% |
434,96 |
P1, DIJELOM JVD (zaštitni pojas,kanal 2. reda (OMO)) |
|||
|
30 |
LIPOVAČA |
196 |
ORANICA |
0,6582 |
614,00 |
404,13 |
0% |
404,13 |
P1 |
4,3370 |
2.662,92 |
|
|
31 |
LIPOVAČA |
197 |
ORANICA |
3,6788 |
614,00 |
2.258,78 |
0% |
2.258,78 |
P1 |
|||
|
32 |
LIPOVAČA |
dio 198 |
ORANICA |
0,1175 |
614,00 |
72,15 |
0% |
72,15 |
P1, DIJELOM JVD (zaštitni pojas,kanal 2. reda (OMO)) |
1,1175 |
686,15 |
|
|
33 |
LIPOVAČA |
dio 198 |
ORANICA |
1,0000 |
614,00 |
614,00 |
0% |
614,00 |
P1, DIJELOM JVD (zaštitni pojas,kanal 2. reda (OMO)) |
|||
|
34 |
LIPOVAČA |
200 |
ORANICA |
1,1990 |
614,00 |
736,19 |
0% |
736,19 |
P1, DIJELOM JVD (zaštitni pojas, kanal 2. reda (OMO)) |
2,2984 |
1.411,22 |
|
|
35 |
LIPOVAČA |
201 |
ORANICA |
1,0994 |
614,00 |
675,03 |
0% |
675,03 |
P1, DIJELOM JVD (zaštitni pojas,kanal 2. reda (OMO) |
|||
|
36 |
LIPOVAČA |
dio 202 |
ORANICA |
1,0147 |
614,00 |
623,03 |
0% |
623,03 |
P1, DIJELOM JVD (zaštitni pojas, kanal 2. reda (OMO)) |
1,0947 |
672,15 |
|
|
37 |
LIPOVAČA |
dio 202 |
ORANICA |
0,0800 |
614,00 |
49,12 |
0% |
49,12 |
P1, DIJELOM JVD (zaštitni pojas, kanal 2. reda (OMO)) |
|||
|
38 |
LIPOVAČA |
203 |
ORANICA |
1,1256 |
614,00 |
691,12 |
0% |
691,12 |
P1, DIJELOM JVD (zaštitni pojas, kanal 2. reda (OMO)) |
1,1256 |
691,12 |
|
|
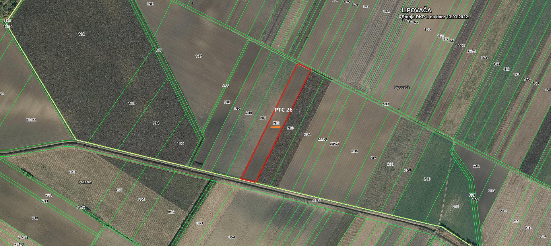
39 |
LIPOVAČA |
204 |
ORANICA |
1,5656 |
614,00 |
961,28 |
0% |
961,28 |
P1, DIJELOM JVD (zaštitni pojas, kanal 2. reda (OMO)) |
1,5656 |
961,28 |
|
|
40 |
LIPOVAČA |
205/1 |
ORANICA |
1,1706 |
614,00 |
718,75 |
0% |
718,75 |
P1, DIJELOM JVD (zaštitni pojas, kanal 2. reda (OMO)) |
2,8384 |
1.742,78 |
|
|
41 |
LIPOVAČA |
206 |
ORANICA |
1,6678 |
614,00 |
1.024,03 |
0% |
1.024,03 |
P1, DIJELOM JVD (zaštitni pojas, kanal 2. reda (OMO)) |
|||
|
42 |
LIPOVAČA |
207 |
ORANICA |
0,7482 |
614,00 |
459,39 |
0% |
459,39 |
P1, DIJELOM JVD (zaštitni pojas, kanal 2. reda (OMO)) |
0,7482 |
459,39 |
|
|
43 |
LIPOVAČA |
321/1 |
ORANICA |
0,8319 |
614,00 |
510,79 |
0% |
510,79 |
P1, DIJELOM JVD (inundacijsko područje,voda l reda) |
0,8319 |
510,79 |
|
|
44 |
SOTIN |
964/2 |
ORANICA |
0,5755 |
549,00 |
315,95 |
0% |
315,95 |
P1 |
0,5755 |
315,95 |
|
|
45 |
SOTIN |
966 |
ORANICA |
0,4569 |
549,00 |
250,84 |
0% |
250,84 |
P1 |
0,4569 |
250,84 |
|
|
46 |
SOTIN |
971/2 |
ORANICA |
0,5483 |
549,00 |
301,02 |
0% |
301,02 |
P1 |
0,5483 |
301,02 |
|
|
47 |
SOTIN |
978 |
ORANICA |
0,9902 |
549,00 |
543,62 |
0% |
543,62 |
P1 |
0,9902 |
543,62 |
|
|
48 |
SOTIN |
1007 |
ORANICA |
0,1190 |
549,00 |
65,33 |
0% |
65,33 |
P1 |
1,1967 |
656,99 |
|
|
49 |
SOTIN |
1006/2 |
ORANICA |
1,0777 |
549,00 |
591,66 |
0% |
591,66 |
P1 |
|||
|
50 |
SOTIN |
1461 |
ORANICA |
3,9359 |
549,00 |
2.160,81 |
0% |
2.160,81 |
P1, dio k.č. |
3,9359 |
2.160,81 |
Sveukupna površina u natječaju: 150,6716 ha
Sveukupna početna zakupnina u natječaju: 84.495,04 kn
Tablica 2: rok od 5 godina
|
R.br. |
Naziv katastarske općine |
PTC. Br. i slika |
Broj katastarske čestice |
Način uporabe katastarske čestice (katastarska kultura) |
Površina |
Jedinična zakupnina |
Početna zakupnina |
Postotak uveć./ |
Ukupna visina početne zakupnine (kn) |
Napomena |
Ukupna površina PTC |
Ukupna početna zakupnina za PTC |
|
1 |
2 |
3 |
4 |
5 |
6 |
7 |
8 |
9 |
10 |
11 |
12 |
13 |
|
6*7 |
8+9 |
|||||||||||
|
1 |
VUKOVAR |
3122/2 |
ORANICA |
0,0384 |
549,00 |
21,08 |
0% |
21,08 |
Povrat, P1 |
0,0384 |
21,08 |
|
|
2 |
VUKOVAR |
5060/2 |
ORANICA |
0,7060 |
549,00 |
387,59 |
0% |
387,59 |
Povrat, P1 |
0,7060 |
387,59 |
|
|
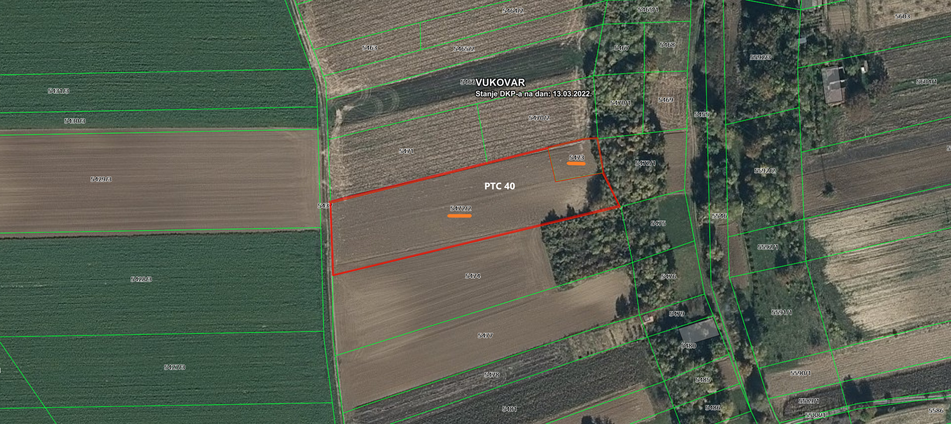
3 |
VUKOVAR |
5472/2 |
ORANICA |
0,5979 |
549,00 |
328,25 |
0% |
328,25 |
Povrat, P1 |
0,6537 |
358,88 |
|
|
4 |
VUKOVAR |
5473 |
ORANICA |
0,0558 |
549,00 |
30,63 |
0% |
30,63 |
Povrat, P1 |
|||
|
5 |
VUKOVAR |
6003/2 |
ORANICA |
1,1529 |
549,00 |
632,94 |
0% |
632,94 |
Povrat, dio P1, dio P3, |
1,1529 |
632,94 |
|
|
6 |
SOTIN |
810/1 |
ORANICA |
1,7319 |
549,00 |
950,81 |
0% |
950,81 |
Povrat, P1 |
1,7319 |
950,81 |
|
|
7 |
SOTIN |
867 |
ORANICA |
0,9040 |
549,00 |
496,30 |
0% |
496,30 |
Povrat, P1 |
0,9040 |
496,30 |
|
|
8 |
SOTIN |
941/1 |
ORANICA |
0,3808 |
549,00 |
209,06 |
0% |
209,06 |
Povrat, P1 |
0,3808 |
209,06 |
|
|
9 |
SOTIN |
1013/2 |
ORANICA |
0,3078 |
549,00 |
168,98 |
0% |
168,98 |
Povrat, P1 |
0,3078 |
168,98 |
|
|
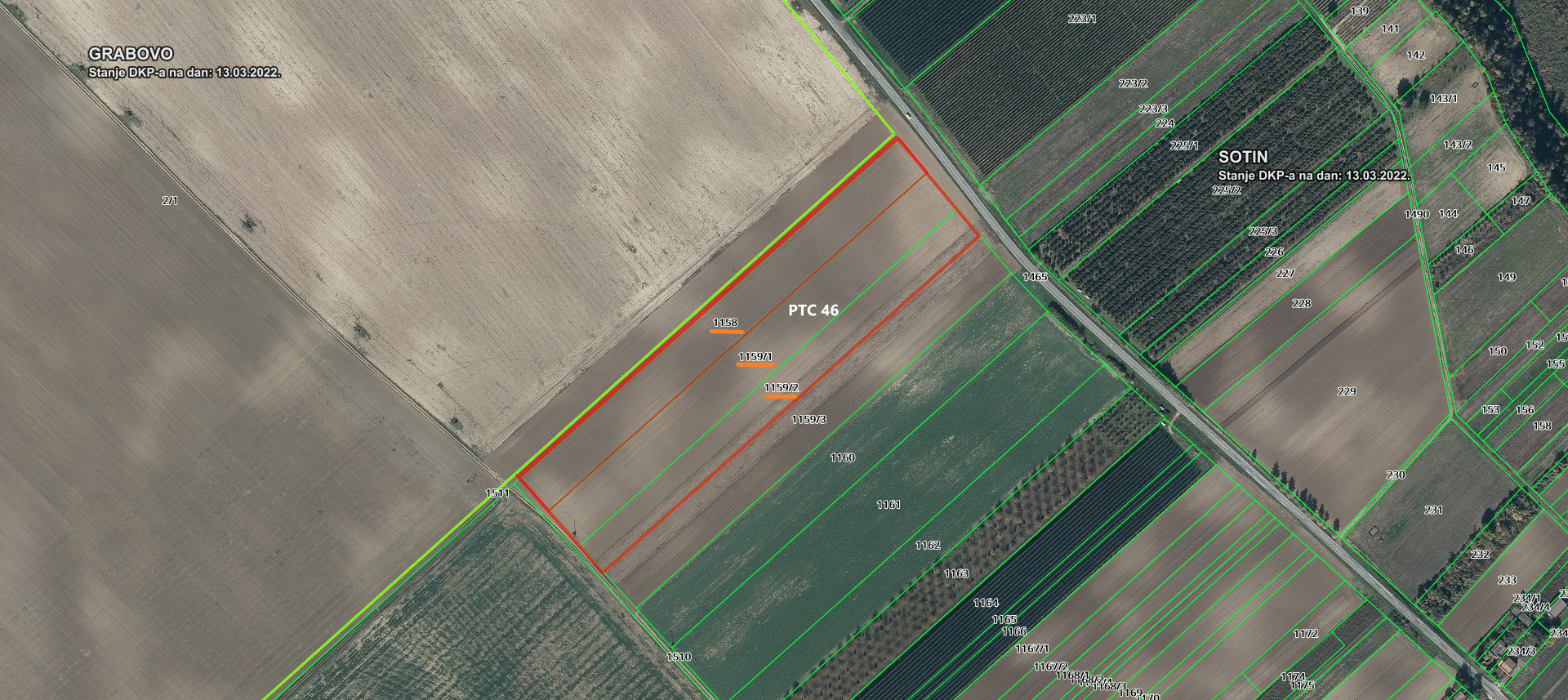
10 |
SOTIN |
dio 1158 |
ORANICA |
0,8204 |
549,00 |
450,40 |
0% |
450,40 |
Povrat, P1 |
4,6705 |
2.564,10 |
|
|
11 |
SOTIN |
dio 1158 |
ORANICA |
0,8203 |
549,00 |
450,34 |
0% |
450,34 |
Povrat, P1 |
|||
|
12 |
SOTIN |
dio 1159/1 |
ORANICA |
0,8675 |
549,00 |
476,26 |
0% |
476,26 |
Povrat, P1 |
|||
|
13 |
SOTIN |
dio 1159/1 |
ORANICA |
0,8675 |
549,00 |
476,26 |
0% |
476,26 |
Povrat, P1 |
|||
|
14 |
SOTIN |
dio 1159/2 |
ORANICA |
0,6474 |
549,00 |
355,42 |
0% |
355,42 |
Povrat, P1 |
|||
|
15 |
SOTIN |
dio 1159/2 |
ORANICA |
0,6474 |
549,00 |
355,42 |
0% |
355,42 |
Povrat, P1 |
|||
|
16 |
SOTIN |
dio 1189/1 |
ORANICA |
0,2435 |
549,00 |
133,68 |
0% |
133,68 |
Povrat, P1 |
0,4870 |
267,36 |
|
|
17 |
SOTIN |
dio 1189/1 |
ORANICA |
0,2435 |
549,00 |
133,68 |
0% |
133,68 |
Povrat, P1 |
|||
|
18 |
SOTIN |
1230/1 |
ORANICA |
0,1380 |
549,00 |
75,76 |
0% |
75,76 |
Povrat, P1 |
0,1380 |
75,76 |
|
|
19 |
SOTIN |
1462 |
TRSTIK |
1,8274 |
200,00 |
365,48 |
0% |
365,48 |
Povrat, P1 i V-vodene površine |
1,8274 |
365,48 |
Sveukupna površina u natječaju: 12,9984 ha
Sveukupna početna zakupnina u natječaju: 6.498,34 kn